|
Zum Vergrößern
Bilder anklicken!
|
Hero de la
Légion d´Antis
Wurftag: 20.05.2008, grau mit
lohfarbenen Abzeichen
Hero ist ein sehr
selbstbewusster Rüde, aber hat ein extrem liebes, soziales Wesen, ist sehr
kinderlieb und aufgeschlossen, intelligent und neugierig.
Er
ist kerngesund und ist HD-A, ED-0 und Herz-1! Er ist 68 cm hoch und wiegt 50 Kilo.
Hero hat am 02.05.
2009 die Ausdauerprüfung am Rad über 20 km bestanden! Außerdem hat er auch
den Wesenstest mit Bravur (Note 1,4) abgelegt! Nun ist er zuchttauglich mit
den Noten 2,0/1,4/1,0 für Gesundheit/Wesen und Typ!
Hero hat mit unserem
F-, G- und H-Wurf für sehr vielversprechenden Nachwuchs gesorgt, der
mit Gismo, Geza, Harvey und Hera auch schon in unserer Zucht eingesetzt wurde ;-)!
Hero ist im August 2019 im Alter
von11,5 Jahren von uns gegangen. :-(
|
|

Hero 5 Wochen alt |

Hero 5 Wochen alt |

Mutter von Hero |

Vater von Hero |

Hero 8 Wochen alt |
 |
 |
 |
 |
 |
 |
 |
 |
 |
 |
 |
 |
 |

Hero 8 Wochen alt
32 cm, 8 kg |

Hero 3 Monate alt
41 cm, 14 kg |
 |
 |
 |
 |

Hero 4 Monate, 24 kg, 50 cm |
 |
 |
 |
 |
 |
 |
 |
 |
 |
 |
 |
 |

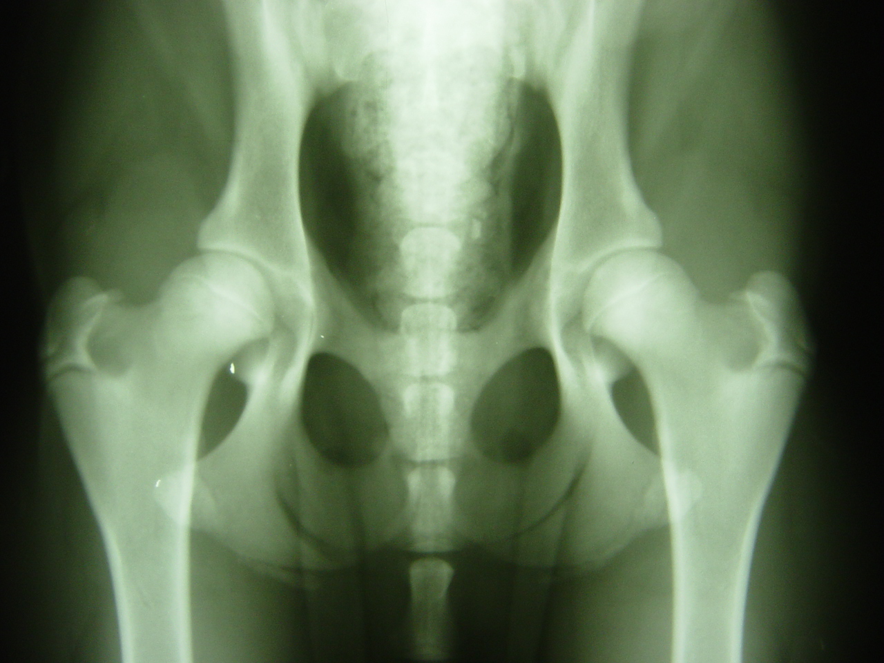
Hero 6 Monate,
vorgeröngt HD-A |

Hero 7 Monate, 39 kg,
62 cm |

Hero 7 Monate |

Hero 7 Monate |

Hero und Kessy |

Hero 7 Monate |

Hero 7 Monate |

Hero 7 Monate |

Hero 7 Monate |

Hero 7 Monate |

Hero und Kessy |

Hero 7 Monate |

Hero und Kessy |

Hero 7 Monate |

Hero, Kessy und Mix im
Spiel |

Hero 8 Monate, 41 kg,
63 cm |

Hero 8 Monate, 41 kg,
63 cm |

Hero 8 Monate, 41 kg,
63 cm |

Hero 8 Monate, 41 kg,
63 cm |

Hero 8 Monate, 41 kg,
63 cm |
 |
 |
 |
 |
 |
 |
 |

Hero 10 Monate, 43 kg,
65 cm |

Hero 10 Monate, 43 kg,
65 cm |

Hero 10 Monate, 43 kg,
65 cm |

Hero 10 Monate, 43 kg,
65 cm |

Hero 10 Monate, 43 kg,
65 cm |

Hero 10 Monate, 43 kg,
65 cm |

Hero 10 Monate, 43 kg,
65 cm |

Hero 10 Monate, 43 kg,
65 cm |

Hero 10 Monate, 43 kg,
65 cm |

Hero 10 Monate, 43 kg,
65 cm |

Hero 10 Monate, 43 kg,
65 cm |

Hero 10 Monate, 43 kg,
65 cm |

Hero 10 Monate, 43 kg,
65 cm |

Hero 10 Monate, 43 kg,
65 cm |

Hero 11,5 Monate, 45 kg,
66 cm |

Hero 11,5 Monate, 45 kg,
66 cm |

Hero 11,5 Monate, 45 kg,
66 cm |

Hero 11,5 Monate, 45 kg,
66 cm |

Hero 11,5 Monate, 45 kg,
66 cm |

Hero, Dasha und Hope |

Hero 11,5 Monate, 45 kg,
66 cm |

Hero und Dasha |

Hero 11,5 Monate, 45 kg,
66 cm |

Hero 11,5 Monate, 45 kg,
66 cm |

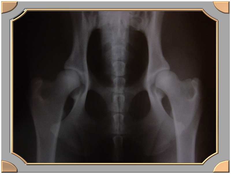
Hero 12 Monate, HD-A |

Hero 13 Monate |

Hero 13 Monate |

Hero 13 Monate |

Hero 19 Monate |

Hero 19 Monate |

Hero 19 Monate |

Hero 19 Monate |

Hero 19 Monate |

Hero 19 Monate |

Hero 2,5 Jahre alt |

Hero 2,5 Jahre alt |

Hero 2,5 Jahre alt |

Hero 2,5 Jahre alt |

Hero 3 Jahre alt |

Hero 3 Jahre alt |

Hero 3 Jahre alt |

Hero 3 Jahre alt |

Hero 3 Jahre alt |

Hero 3 Jahre alt |

Hero 3 Jahre alt |

Hero 3 Jahre alt |

Hero 3 Jahre alt |

Hero 3 Jahre alt |

Hero 3 Jahre alt |

Hero 3 Jahre alt mit
Cosma |

Hero 3 Jahre alt |

Hero 3 Jahre alt mit
Cosma |

Hero 3 Jahre alt mit
Cosma |

Hero 3 Jahre alt mit
Cosma |

Hero 3 Jahre alt mit
Cosma |

Hero 3 Jahre alt |

Hero 4,5 Jahre alt |

Hero 4,5 Jahre alt |

Hero 4,5 Jahre alt |

Hero 4,5 Jahre alt |

Hero 4,5 Jahre alt |

Hero 4,5 Jahre alt |

Hero 4,5 Jahre, Nelly
6,5 Jahre alt |

Hero 4,5 Jahre alt |

Hero 4,5 Jahre alt |

Hero 4,5 Jahre alt |

Hero 5,5 Jahre alt |

Hero 5,5 Jahre alt |

Hero 5,5 Jahre alt |

Hero 5,5 Jahre alt |

Hero 5,5 Jahre alt |

Hero 5,5 Jahre alt |

Hero 5,5 Jahre alt |

Hero 6,5 Jahre alt |

Hero 6,5 Jahre alt |

Hero 6,5 Jahre alt
und Bonny 6,5 Monate alt |

Hero Februar 2015, 6 Jahre und 8 Monate |

Hero Februar 2015 |

Hero Februar 2015 |

Hero Februar 2015 |

Hero und Bonny Februar 2015 |

Hero Februar 2015 |

Hero und Bonny Februar 2015 |

Hero 7 Jahre alt |

Hero 7 Jahre alt |

Hero 7 Jahre alt |

Hero 7 Jahre alt |

Hero´s 7. Geburtstag |

Hero´s 7. Geburtstag |

Hero fast 9 Jahre alt mit Bonny fast 3 Jahre alt |

Hero fast 9 Jahre alt |

Hero fast 9 Jahre alt mit Gina 7 Monate alt |

Hero, Gina und Bonny |

Hero fast 9 Jahre alt |

Hero fast 9 Jahre alt |

Hero fast 9 Jahre alt im Spiel mit Gina |

Hero´s 9. Geburtstag |

Hero´s 9. Geburtstag |

Hero´s 9. Geburtstag |

Hero´s 9. Geburtstag |

Hero´s 9. Geburtstag |

Hero 10 Jahre alt |

Hero 11 Jahre alt |

Hero 11,5 Jahre |
|